_Figure_19.jpg.webp)
Taxonavigation
| Taxonavigation: Reduvioidea |
|---|
|
Superregnum: Eukaryota |
Familia: Reduviidae
Subfamilia: Peiratinae
Genus: Zeraikia
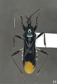
Species: Zeraikia zeraikae
Name
Zeraikia zeraikae Gil-Santana, 2017
Type locality: Brazil, Estado do Rio de Janeiro, Nova Friburgo
References
- Gil-Santana, H.R. 2017. A new species of Zeraikia Gil-Santana & Costa with taxonomic notes on Zeraikia novafriburguensis Gil-Santana & Costa (Hemiptera, Reduviidae, Peiratinae). ZooKeys 716: 105—126. DOI: 10.3897/zookeys.716.20843. Reference page.
| For more multimedia, look at Zeraikia zeraikae on Wikimedia Commons. |