Taxonavigation
| Taxonavigation: Chrysomeloidea |
|---|
|
Superregnum: Eukaryota |
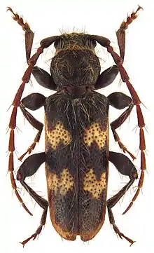
Familia: Cerambycidae
Subfamilia: Cerambycinae
Tribus: Callidiini
Genus: Semanotus
Species: S. algiricus – S. amethystinus – S. australis – S. bifasciatus – S. japonicus – S. juniperi – S. laurasii – S. ligneus – S. litigiosus – S. nigroalbus – S. puncticollis – S. russicus – S. semenovi – S. sinoauster – S. undatus – S. yakushimanus
Name
- Semanotus Mulsant, 1839
References
- Hammond, H.E.J.; Williams, D.J. 2013: Casey’s conundrum, a review of the genus Semanotus Mulsant (Coleoptera: Cerambycidae: Cerambycinae: Callidiini) in North America. Zootaxa 3670(2): 101–136. DOI: 10.11646/zootaxa.3670.2.1 Reference page.
_(4624188485).jpg.webp)