
Taxonavigation
| Taxonavigation: Staphylinoidea |
|---|
|
Superregnum: Eukaryota |
Familia: Staphylinidae
Subfamilia: Pselaphinae
Supertribus: Pselaphitae
Tribus: Tyrini
Subtribus: Tyrina
Genus: Pselaphodes
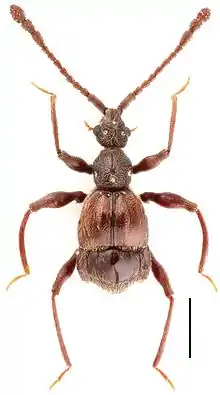
Species: Pselaphodes tiantongensis
Name
Pselaphodes tiantongensis Yin & Li, 2013: 49
- Type locality: CHINA: Zhejiang, Ningbo City, Yinzhou District, Tiantong Shan, 29°48'03"N, 121°46'56"E, 600 m.
- Holotype: SNUC, ♂, 2009.iv.26, Ting Feng leg.
References
Primary references
- Yin, Z-W., Hlaváč, P. & Li, L-Z. 2013. Further studies on the Pselaphodes complex of genera from China (Coleoptera, Staphylinidae, Pselaphinae). ZooKeys 275: 23–65. DOI: 10.3897/zookeys.275.4571 Reference page. [original description: p. 49, figs. 16B, 18]