
Taxonavigation
| Taxonavigation: Staphylinoidea |
|---|
|
Superregnum: Eukaryota |
Familia: Staphylinidae
Subfamilia: Pselaphinae
Supertribus: Pselaphitae
Tribus: Tyrini
Subtribus: Tyrina
Genus: Pselaphodes
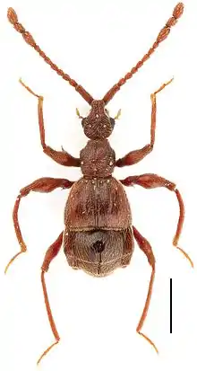
Species: Pselaphodes longilobus
Name
Pselaphodes longilobus Yin & Hlaváč, 2013: 47
- Type locality: CHINA: Yunnan, Jizushan, N25°58'39", E100°21'14", 3216 m.
- Holotype: private collection of Peter Hlaváč, Košice, Slovakia, ♂, 28.VI.2011, sift27, V. Grebennikov.
References
Primary references
- Yin, Z-W., Hlaváč, P. & Li, L-Z. 2013. Further studies on the Pselaphodes complex of genera from China (Coleoptera, Staphylinidae, Pselaphinae). ZooKeys 275: 23–65. DOI: 10.3897/zookeys.275.4571 Reference page. [original description: p. 47, figs. 13B, 15]