
Taxonavigation
| Taxonavigation: Curculionoidea |
|---|
|
Superregnum: Eukaryota |
Familia: Curculionidae
Subfamilia: Entiminae
Tribus: Eupholini
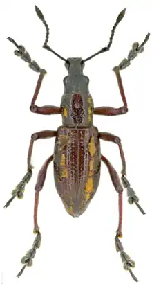
Genus: Penthoscapha
Species: Penthoscapha doormanensis
Name
Penthoscapha doormanensis Riedel, 2009
References
- Riedel, A. 2009: Revision of the genus Penthoscapha Heller (Coleoptera, Curculionoidea, Entiminae, Eupholini) with notes on the genera of Eupholini from New Guinea. Zootaxa, 2224: 1–29. Abstract & excerpt