_Figure_1_(cropped).jpg.webp)
Taxonavigation
| Taxonavigation: Staphylinoidea |
|---|
|
Superregnum: Eukaryota |
Familia: Staphylinidae
Subfamilia: Pselaphinae
Supertribus: Pselaphitae
Tribus: Tyrini
Subtribus: Tyrina
Genus: Linan
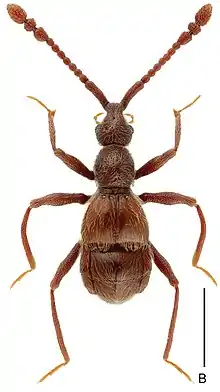
Species: Linan denticulatus
Name
Linan denticulatus Zhang, Li & Yin, 2018: 119
- Type locality: CHINA: N. Guizhou, Daozhen County, Dashahe N. R., 29°10'12"N, 107°33'36"E, 1730 m.
- Holotype: SNUC, ♂, 07.VII.2015, Jiang, Peng, Tu, & Zhou leg.
References
Primary references
- Zhang, Y-Q., Li, L-Z. & Yin, Z-W. 2018. Six new species and a new record of Linan Hlaváč in China, with a key to species (Coleoptera, Staphylinidae, Pselaphinae). ZooKeys 793: 115–133. DOI: 10.3897/zookeys.793.27661 Reference page. [original description: p. 116, figs. 1B, 3, 119]