
Taxonavigation
| Taxonavigation: Leptopodoidea |
|---|
|
Superregnum: Eukaryota |
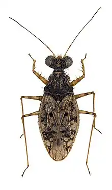
Familia: Leptopodidae
Subfamiliae (2):
Leptopodinae -
Leptosaldinae
Overview of genera (9 + 3†)
Leotichius –
Leptopus –
Martiniola –
Patapius –
[[]] –
[[]] –
[[]] –
Saldolepta –
Valleriola –
†Cretaceomira –
†Grimaldinia –
†Leptosalda –
†Leptosaldinea
Name
Leptopodidae Brullé, 1836
Synonyms
References
- McKellar, R.C. & Engel, M.S. 2014. The first Mesozoic Leptopodidae (Hemiptera: Heteroptera: Leptopodomorpha), from Canadian Late Cretaceous amber. Historical Biology 26(6): 702–709. DOI: 10.1080/08912963.2013.838753 Reference page.
- Popov, Yu.A. & Heiss, E. 2014. Grimaldinia pronotalis n.gen.,n.sp. from Mid-Cretaceous Burmese amber (Hemiptera: Heteroptera, Leptopodidae, Leptosaldinae). Zootaxa 3878(5): 444–450. DOI: 10.11646/zootaxa.3878.5.2 Reference page.
- Popov, Yu.A. & Heiss, E. 2016. A remarkable fossil leptosaldine bug from Mid-Cretaceous Burmese amber (Hemiptera: Heteroptera: Leptopodomorpha: Leptopodidae). Zootaxa 4137(2): 233–238. DOI: 10.11646/zootaxa.4137.2.5. Reference page.
- Vinokurov, N.N. 2012: Leptopus marusiki Vinokurov, a new species of the bug family Leptopodidae (Heteroptera) from Northern India. Entomological Review, 92(5): 590–592. DOI: 10.1134/S0013873812050120. Original Russian Text: Zoologicheskii zhurnal, 91(2): 242–244.