_(16090788850).png.webp)
Taxonavigation
| Taxonavigation: Tenebrionoidea |
|---|
|
Superregnum: Eukaryota |
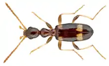
Familia: Anthicidae
Subfamilia: Anthicinae
Tribus: Anthicini
Genus: Leptaleus
Species:
L. chaudoiri –
L. glabellus –
L. rodriguesi –
L. uralensis
Name
Leptaleus LaFerté-Sénectère, 1849
References
- Zicha, Ondřej et al. Leptaleus – Taxon details on Biological Library (BioLib).
| For more multimedia, look at Leptaleus on Wikimedia Commons. |