
Jethsura
Taxonavigation
| Taxonavigation: Ichneumonoidea |
|---|
|
Superregnum: Eukaryota |
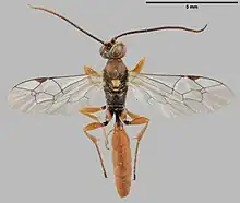
Familia: Ichneumonidae
Genus: Jethsura
Species:
Name
- Jethsura
Primary references
Links
- BHL bibliography
- Jethsura – Taxon details on Encyclopedia of Life (EOL).
- Global Biodiversity Information Facility. 2019. GBIF Backbone Taxonomy. Checklist dataset. Taxon: Jethsura.
- ION
- Nomenclator Zoologicus
This article is issued from Wikimedia. The text is licensed under Creative Commons - Attribution - Sharealike. Additional terms may apply for the media files.