
Taxonavigation
| Taxonavigation: Miroidea |
|---|
|
Superregnum: Eukaryota |
Familia: Miridae
Subfamilia: Mirinae
Tribus: Hyalopeplini
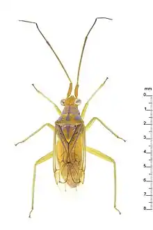
Genus: Hyalopeplinus
Species: H. antennalis – H. cairnsensis – H. cristovalensis – H. fijiensis – H. malayensis – H. papuensis – H. philippinensis – H. samoanus – H. solomonensis