Taxonavigation
| Taxonavigation: Chrysomeloidea |
|---|
|
Superregnum: Eukaryota |
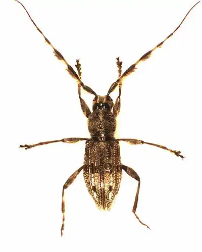
Familia: Cerambycidae
Subfamilia: Lamiinae
Tribus: Parmenini
Genus: Hexatricha
Species: H. pulverulenta
![]() |
This is a stub page which contains only a minimal amount of information.
Help improve Wikispecies by adding information to this taxon! |

