.png.webp)
Taxonavigation
| Taxonavigation: Staphylinoidea |
|---|
|
Superregnum: Eukaryota |
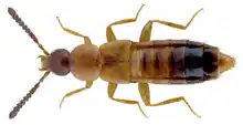
Familia: Staphylinidae
Subfamilia: Aleocharinae
Tribus: Geostibini
Genus: Geostiba
Subgenera (12):
Acanthosipalia –
Anatologeostiba –
Chondridiosipalia –
Dichondrosipalia –
Indatheta –
Prionosipalia –
Sibiota –
Sipalotricha –
Sphenosipalia –
Trachyglutosipalia –
Triptychosipalia –
Tropogastrosipalia
Names excluded from Geostiba:
Chondrogastrosipalia –
Ditroposipalia –
Lioglutosipalia –
Myoposipalia –
Tetratropogeostiba –
Tylosipalia –
Typhlusida
Geostiba (s. str.) species:
G. circellaris –
G. portuscomtensis –
G. sororcula
Subgenus incertae sedis species:
G. abbreviata –
G. arieroensis –
G. audrasi –
G. beringensis –
G. bicacanaensis –
G. brancomontis –
G. caligicola –
G. daisetsuana –
G. ericicola –
G. endogea –
G. excepta –
G. fasciata –
G. graminicola –
G. granulicauda –
G. lanzarotensis –
G. lauricola –
G. lindrothi –
G. noctis –
G. occulta –
G. philea –
G. portosantoi –
G. ruivomontis –
G. subterranea –
G. temeris –
G. tenebrarum –
G. testacea –
G. vaccinicola
Species overview:
G. abbreviata –
G. acifera –
G. aculeata –
G. adunca –
G. aequa –
G. ahaiaensis –
G. ahirana –
G. ahirensis –
G. akceliensis –
G. akiana –
G. albacetensis –
G. albimontis –
G. alexandri –
G. alticola –
G. alturgellensis –
G. amplicollis –
G. andalusa –
G. angelinii –
G. anlasi –
G. anxanensis –
G. apfelbecki –
G. appalachigena –
G. appuana –
G. araneaensis –
G. arazeccana –
G. arganthonia –
G. arida –
G. arieiroensis –
G. armata –
G. armicollis –
G. articarinata –
G. artifistula –
G. artvinensis –
G. arundensis –
G. asperipennis –
G. aspromontana –
G. asturiensis –
G. atrioculata –
G. atromontis –
G. attaleensis –
G. aucta –
G. augusta –
G. australiae –
G. aydinica –
G. azrouensis –
G. baerti –
G. baetica –
G. balkarensis –
G. balsamensis –
G. barcinonensis –
G. batumiensis –
G. beieri –
G. belasizaensis –
G. benicki –
G. berbera –
G. beringensis –
G. bermejensis –
G. bernhaueri –
G. beroni –
G. besila –
G. besucheti –
G. beydaghensis –
G. bicacanaensis –
G. bicarinata –
G. bidens –
G. biformis –
G. bigibbera –
G. biokovensis –
G. bisulcata –
G. bitlisensis –
G. bituberculata –
G. bordei –
G. brachati –
G. brancomontis –
G. breviflagellata –
G. breviuter –
G. brigantii –
G. burdurica –
G. burgeoni –
G. cabrerensis –
G. calabra –
G. calcidica –
G. caligicola –
G. calva –
G. carinicollis –
G. carinipennis –
G. carteriensis –
G. casalei –
G. cassagnaui –
G. catalanica –
G. cavipennis –
G. cazorlensis –
G. cerrutii –
G. chinensis –
G. chlorotica –
G. chyzeri –
G. cingarae –
G. cingulata –
G. circaea –
G. circellaris –
G. cirocchii –
G. coeligena –
G. confusa –
G. conifera –
G. consobrina –
G. convergens –
G. cosentina –
G. crepusculigena –
G. cuneiformis –
G. curtipennis –
G. curzolae –
G. cyprensis –
G. daisetsuana –
G. defecta –
G. deliqua –
G. dentata –
G. deubeli –
G. devia –
G. devillei –
G. dibekiana –
G. diensis –
G. diktiana –
G. dinarica –
G. diversiventris –
G. doderoana –
G. douradasensis –
G. ehlersi –
G. elmaica –
G. emirdaghensis –
G. endogea –
G. ensifera –
G. erecta –
G. ericicola –
G. espanoli –
G. euxina –
G. excaecata –
G. excepta –
G. exsecta –
G. extensicollis –
G. extorta –
G. fabaeformis –
G. falakroensis –
G. fasciata –
G. feldmanni –
G. filabresica –
G. filiformis –
G. flava –
G. florentina –
G. focarilei –
G. fodens –
G. formicarum –
G. fretoria –
G. frischi –
G. fthiotisensis –
G. fuscula –
G. gadesensis –
G. gaditana –
G. galicicana –
G. gardinii –
G. garganica –
G. gecmisica –
G. giachinoi –
G. giaurica –
G. gibbera –
G. gibberiventris –
G. glacialis –
G. gontarenkoi –
G. graminicola –
G. granisuturalis –
G. granollersensis –
G. granulicauda –
G. granulipennis –
G. graveyardensis –
G. hachoensis –
G. hamata –
G. hasanica –
G. heliophila –
G. helvetiorum –
G. heraultensis –
G. hernica –
G. hispalensis –
G. honazica –
G. hongkongensis –
G. horwoodae –
G. huberi –
G. hummleri –
G. icaria –
G. iconiensis –
G. idaea –
G. ilievi –
G. immutata –
G. impressa –
G. impressiventris –
G. impressula –
G. incisa –
G. incognita –
G. inexsecta –
G. infirma –
G. insularis –
G. ionica –
G. italica –
G. itiensis –
G. itschiliensis –
G. jaenica –
G. janbellini –
G. jarasteparensis –
G. jordanica –
G. josephi –
G. kakhetiana –
G. kalavanica –
G. kamerunensis –
G. karakusensis –
G. kartalana –
G. kastamonuensis –
G. kasyi –
G. kazakistanensis –
G. kazica –
G. ketamensis –
G. khnzoriani –
G. killiniensis –
G. kirghisica –
G. kobrisensis –
G. korbi –
G. krzysztofi –
G. kusnetzovi –
G. laevigata –
G. lagrecai –
G. lanzarotensis –
G. largata –
G. laticornis –
G. lauricola –
G. lavagnei –
G. leonhardi –
G. lepinensis –
G. leridensis –
G. leucadiae –
G. libanensis –
G. ligurica –
G. lindrothi –
G. linearis –
G. linkei –
G. loebliana –
G. lohsei –
G. lonai –
G. longicollis –
G. lucana –
G. lucens –
G. luigionii –
G. lunata –
G. lycaonica –
G. macronorum –
G. maghrebica –
G. magistrettii –
G. magrinii –
G. major –
G. manca –
G. marasica –
G. maritima –
G. marmotae –
G. maroneiensis –
G. matajurensis –
G. matsakisi –
G. maxiana –
G. medea –
G. meghruica –
G. meixneri –
G. melanocephala –
G. melberi –
G. melitensis –
G. menalonensis –
G. mendax –
G. menikioensis –
G. menozzii –
G. meronica –
G. mesatlantica –
G. meschniggi –
G. meschniggiana –
G. meybohmi –
G. mihoki –
G. moczarskii –
G. molitgensis –
G. montivaga –
G. mosorica –
G. mousensis –
G. muscicola –
G. mussardi –
G. mutabilis –
G. myohyangensis –
G. myops –
G. navarica –
G. nebrodensis –
G. nebuligena –
G. neilae –
G. nemrutica –
G. nifica –
G. nigrohortensia –
G. nimbicola –
G. nitida –
G. nivicola –
G. noctis –
G. notabilis –
G. nubigena –
G. numantiensis –
G. obtusicollis –
G. occaecata –
G. occulta –
G. oertzeni –
G. orduica –
G. orientalis –
G. osellai –
G. ossaica –
G. ossogovskaensis –
G. othrisensis –
G. padana –
G. paganettiana –
G. pambakica –
G. pandellei –
G. pangeoensis –
G. panormitana –
G. paracoiffaitiana –
G. parnoniensis –
G. pasniki –
G. paulexsecta –
G. pauli –
G. perdita –
G. perfodens –
G. pervolans –
G. peyerimhoffi –
G. philea –
G. picena –
G. planipennis –
G. plicatella –
G. plicipennis –
G. pluricarinata –
G. pluvigena –
G. poggii –
G. polisitica –
G. pontica –
G. portosantoi –
G. portuscomtensis –
G. pourtoyi –
G. praefixa –
G. priva –
G. prominens –
G. pseudoglacialis –
G. pulchella –
G. pungens –
G. pussardi –
G. quadrisignata –
G. recta –
G. reducta –
G. renneri –
G. revelierei –
G. rhilensis –
G. rhodiensis –
G. rhunensis –
G. riffensis –
G. rizensis –
G. rodopensis –
G. romana –
G. roscidavallensis –
G. rossii –
G. rougemonti –
G. rugosipennis –
G. ruivomontis –
G. sacra –
G. sakhalinensis –
G. saltustesti –
G. samai –
G. samnitica –
G. sandiklica –
G. sardoa –
G. sarica –
G. scheerpeltziana –
G. schneideri –
G. schuelkei –
G. sculpticollis –
G. segurae –
G. segurensis –
G. seleucica –
G. sengleti –
G. sibyllinica –
G. siciliana –
G. siculifera –
G. silvigena –
G. simaica –
G. simbruinica –
G. simplex –
G. simplicicollis –
G. simulans –
G. sinuosa –
G. skalitzkyi –
G. slaviankaensis –
G. smyrnensis –
G. soganlica –
G. solarii –
G. solodovnikovi –
G. sororcula –
G. spinicollis –
G. spinosula –
G. spizzana –
G. straneoi –
G. stussineri –
G. subasiensis –
G. sublaevis –
G. subterranea –
G. sultanica –
G. svanetica –
G. taediosa –
G. taiwanensis –
G. tamaninii –
G. tarifensis –
G. taseliensis –
G. taygetana –
G. temeris –
G. tenebrarum –
G. testacea –
G. thryptisensis –
G. tiflisensis –
G. tigrani –
G. torisuturalis –
G. tronqueti –
G. tuberifera –
G. tuberosa –
G. turcica –
G. turrensis –
G. tyrrhenica –
G. uhligi –
G. ulcerifera –
G. unicuneata –
G. uniplicata –
G. unituber –
G. urquillae –
G. vaccinicola –
G. vacillator –
G. valentiana –
G. varnousica –
G. vascona –
G. veneta –
G. ventosa –
G. vermionensis –
G. vidua –
G. vivesi –
G. vladivostokensis –
G. weiratheri –
G. winkleri –
G. winkleriana –
G. xerovuniana –
G. xirosica –
G. zeithammeri –
G. zercheana –
G. zerchei –
G. zoufali
In synonymy:
G. amica –
G. besuchetiana –
G. bulbifera –
G. coiffaiti –
G. comellinii –
G. commingensis –
G. cordobana –
G. couflensensis –
G. cribripennis –
G. crucis –
G. cryptophthalma –
G. elatensis –
G. euboica –
G. exasperata –
G. gardensis –
G. gerundensis –
G. hervei –
G. lapurdensis –
G. loebli –
G. lozerensis –
G. lyciorum –
G. maderi –
G. minoica –
G. molitgensis –
G. monogranulata –
G. mostarensis –
G. mysia –
G. nevadensis –
G. optima –
G. orhyensis –
G. ossalensis –
G. peninsulaemagnesiae –
G. salatensis –
G. samensis –
G. solitaria –
G. taurica –
G. tbilisensis –
G. tergestina –
G. thermarum –
G. trapezusensis –
G. vallierensis –
G. varensis –
G. ventosa –
G. wunderlei
Name
Geostiba Thomson, 1858: 33
- Type species: Aleochara circellaris Gravenhorst, 1806.
Synonymy
- Evanystes Gistel, 1856: 387
- Type species: Aleochara circellaris Gravenhorst, 1806
References
Primary references
- Thomson, C.G. 1858. Försök till uppställning af Sveriges Staphyliner. Öfversigt af Kongliga Vetenskaps-Akademiens Förhandlingar 15: 27–40. BHL Reference page. [original description: p. 33]
Additional references
- Assing, V., 1999: A revision of the species of Geostiba Thomson 1858 from Greece and Cyprus (Coleoptera, Staphylinidae, Aleocharinae). Linzer biologische Beiträge 31 (2): 845–928. Full article: .
- Assing, V., 2000: Three new brachypterous Athetini from North Korea (Coleoptera: Staphylinidae, Aleocharinae). Linzer biologische Beiträge 32 (2): 999–1006. Full article: .
- Assing, V., 2000: A revision of the species of Geostiba Thomson 1858 and Paraleptusa Peyerimhoff 1901 of Greece: Supplement I, including some species from Albania, Macedonia, Bulgaria, and Turkey (Coleoptera: Staphylinidae, Aleocharinae). Linzer biologische Beiträge 32 (2): 1007–1031. Full article: .
- Assing, V., 2000: The Turkish species of Geostiba s. str. THOMSON 1858 (Coleoptera: Staphylinidae, Aleocharinae). Linzer biologische Beiträge 32 (2): 1033–1042. Full article: .
- Assing, V., 2001: A revision of the Turkish species of Geostiba Thomson 1858 and Tropimenelytron Pace 1983 (Coleoptera: Staphylinidae, Aleocharinae). Linzer biologische Beiträge 33 (1): 137–185. Full article: .
- Assing, V., 2001: A revision of the species of Geostiba Thomson of the Balkans and Turkey. V. New species, a new synonym, new combinations, and additional records (Coleoptera: Staphylinidae, Aleocharinae). Linzer biologische Beiträge 33 (2): 689–707. Full article: .
- Assing, V., 2003: A revision of the species of Geostiba Thomson of the Eastern Mediterranean. VI. (Coleoptera: Staphylinidae, Aleocharinae). Linzer biologische Beiträge 35 (1): 103–129. Full article: .
- Assing, V., 2003: New species and a new synonym of Geostiba from the Iberian Peninsula (Coleoptera: Staphylinidae: Aleocharinae). Linzer biologische Beiträge 35 (1): 519–532. Full article: .
- Assing, V., 2004: On the Iberian species of Geostiba Thomson III. New species, new synonymies, and new records (Coleoptera: Staphylinidae: Aleocharinae). Koleopterologische Rundschau 74: 175–189. Full article: .
- Assing, V., 2006: Thirteen new species and additional records of Eastern Mediterranean Geostiba Thomson (Coleoptera: Staphylinidae, Aleocharinae). Linzer biologische Beiträge 38 (2): 1179–1215. Full article: .
- Assing, V., 2007: Four new species and additional records of Geostiba from Turkey and Crete, and a new synonymy (Coleoptera: Staphylinidae: Aleocharinae). Linzer biologische Beiträge 39 (2): 777–790. Full article: .
- Assing, V., 2009: A revision of Geostiba of the Western Palaearctic region. XIX. New species from Turkey and Iran and additional records, with an updated key and a catalogue of the species of the Eastern Mediterranean, the Caucasus, and adjacent regions (Coleoptera: Staphylinidae: Aleocharinae). Linzer Biologische Beiträge, 41 (2): 1191–1246. Full article: .
- Assing, V,, 2010: A revision of Geostiba of the Western Palaearctic region. XX. Four new species from Turkey and Albania, and additional records (Coleoptera: Staphylinidae: Aleocharinae). Linzer Biologische Beiträge, 41 (2): 1125–1138. Full article: .
- Assing, V. & P. Wunderle, 1996: A revision of the Madeiran species of the genus Geostiba Thomson, 1858 (Coleoptera: Staphylinidae). Revue Suisse de Zoology 103 (1): 119–150. Full article: .
- Assing, V. 2016. A revision of Geostiba of the West Palaearctic region. XXIII. On the Sibiota species of the Caucasus region exclusive of Turkey (Coleoptera: Staphylinidae: Aleocharinae) Linzer biologische Beiträge 48(2): 1097–1117. Full article (PDF) Reference page. [Key to the Sibiota species of the Caucasus region exclusive of Turkey: p. 1114]
- Assing, V. 2017. On the Geostiba fauna of Armenia (Coleoptera: Staphylinidae: Aleocharinae). Linzer biologische Beiträge 49(2): 1075–1092. PDF Reference page. [Key to the Geostiba species of Armenia: p. 1090]
- Assing, V. 2017. A revision of Geostiba of the West Palaearctic region. XXV. New species from Georgia and Greece, and additional records (Coleoptera: Staphylinidae: Aleocharinae). Linzer biologische Beiträge 49(2): 1093–1106. PDF Reference page.