
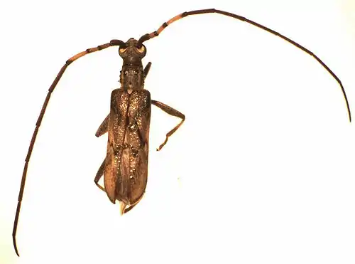
Didymocantha obliqua
Taxonavigation
| Taxonavigation: Chrysomeloidea |
|---|
|
Superregnum: Eukaryota |
Familia: Cerambycidae
Subfamilia: Cerambycinae
Tribus: Callidiopini
Genus: Didymocantha
Species: Didymocantha obliqua
Name
- Didymocantha obliqua Newman, 1840
References
Primary references
- Newman, E. 1840: Nonnullorum Cerambycitum novorum, Novam Hollandiam et Insulam Van Diemen habitantium characteres. Annals and magazine of natural history, 5: 14–21. BHL [20, original description]
Additional references
- {{Chapter 9 in ISBN 978-1-87725793-3}} [428, listed]
Links
This article is issued from Wikimedia. The text is licensed under Creative Commons - Attribution - Sharealike. Additional terms may apply for the media files.