
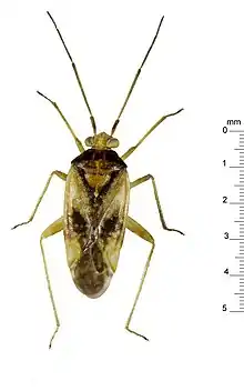
Chinamiris aurantiacus
Taxonavigation
| Taxonavigation: Miroidea |
|---|
|
Superregnum: Eukaryota |
Familia: Miridae
Subfamilia: Mirinae
Tribus: Mirini
Genus: Chinamiris
Species: Chinamiris aurantiacus
Name
Chinamiris aurantiacus Eyles & Carvalho, 1991: 277
- Original genus: Chinamiris Woodward, 1950
- Original status: Valid species
- Primary type: Holotype
- Type locality: 'SD, Stephens I' [NEW ZEALAND SD]
- ZooBank: F6E131E2-D307-4DD2-97BC-FE23860BD552
References
- Eyles, A.C. & Carvalho, J.C.M. 1991. Revision of the genus Chinamiris Woodward (Hempitera [Hemiptera]: Miridae). New Zealand Journal of Zoology 18(3): 267–321. DOI: 10.1080/03014223.1991.10418045 Reference page. [See p. 277, and Fig. 42, 44, 84-86; original description (female, male)]
- Larivière, M.-C. & Larochelle, A. 2004. Heteroptera (Insecta: Hemiptera): catalogue. Fauna of New Zealand (50) Extract and PDF Online Reference page. [See p. 91, and type photograph p. 247] [Note that the holotype specimen photos for C. acutospinosus and C. aurantiacus are mismatched with their label photos and captions!]
This article is issued from Wikimedia. The text is licensed under Creative Commons - Attribution - Sharealike. Additional terms may apply for the media files.