.png.webp)
Taxonavigation
| Taxonavigation: Staphylinoidea |
|---|
|
Superregnum: Eukaryota |
Familia: Staphylinidae
Subfamilia: Aleocharinae
Tribus: Aleocharini
Subtribus: Aleocharina
Genus: Aleochara
Subgenus: Xenochara
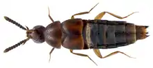
Species: Aleochara puberula
Name
Aleochara (Xenochara) puberula Klug, 1833: 139
Synonymy
- Aleochara puberula Klug, 1833: 139 [original combination]
- Aleochara (Xenochara) puberula — Bernhauer, 1901: 457; Cameron, 1939: 632; Pace, 1984: 276
- Aleochara vaga Erichson, 1839: 172
- Aleochara deserta Erichson, 1839: 173
- Aleochara decorata Aubé, 1850: 311
- Aleochara armitagei Wollaston, 1854: 559
- Oxypoda (?) brunescens Motschulsky, 1858: 243 [spelled brunnescens in Smetana 2004: 360 etc.]
- Oxypoda sanguinolenta Motschulsky, 1858: 241
- Aleochara badia Motschulsky, 1858: 237
- Aleochara dubia Fauvel, 1863: 428 [attributed to Chevrolat; preoccupied, not Aleochara dubia Gravenhorst, 1806: 173]
- Oxypoda analis MacLeay, W. J., 1871: 135 [not Aleochara analis Gravenhorst, 1802: 76]
- Baryodma bipartita Casey, 1893: 287 [synonym in Klimaszewski, 1984]
- Aleochara major puberula Eichelbaum, 1912: 176 [preoccupied, not Aleochara major Fairmaire, 1858: 737]
Native distribution areas
Europe, N Africa, Iran to Korea, Japan, Pakistan, Azores, Canary Is. ,Madeira, China, Oriental, USA, Mexico, Cuba, Guadeloupe, Ecuador, F. Guiana, Brazil, Chile, Argentina, Australia, New Zealand, Afrotropical, S. Africa, Madagascar, Seychelles, Mascarenes, New Cal., Tahiti.
References
Primary references
- Klug, J.C.F., 1833: Bericht über eine auf Madagascar veranstaltete Sammlung von Insekten aus der Ordnung Coleoptera. Abhandlung der Königli chen Akademie der Wissenschaften Berlin, 1833: 91–223. [original description: p. 139]
Additional references
- Klimaszewski, J. & Jansen, R.E. 1993. Systematics, biology and distribution of Aleochara Gravenhorst from southern Africa. Part 1: subgenus Xenochara Mulsant & Rey (Coleoptera: Staphylinidae). Annals of the Transvaal Museum 36 (7): 53–107. Full article (PDF) on African Journal Archive Reference page. [See p. 72, and figs. 56-59, 100-102, 130]
- Matějíček, J. & Boháč, J. 2020. New and additional records of the staphylinid beetles from Pakistan collected by Guido Sabatinelli with check-list of staphylinids of Pakistan (Coleoptera, Staphylinidae). Munis entomology & zoology 15(2): 655–689. PDF
Reference page. [mateial, distribution, comment: p. 660] - Pace, R. 1984. Aleocharinae delle Mascarene, parte II: tribù Falagriini, Callicerini, Schistogeniini, Oxypodini e Aleocharini (Coleoptera Staphylinidae) (XLVI Contributo alla conoscenza delle Aleocharinae). [Aleocharinae of the Mascareignes Islands, part II: tribes Falagriini, Callicerini, Schistogeniini, Oxypodinini, Oxypodini and Aleocharini (Coleoptera, Staphylinidae).] Revue suisse de zoologie 91(2): 249–280, 120 figs. BHL Reference page. [material, distribution: p. 274, figs. 111-115]
- Pace, R. 1986. Aleocharinae dell’Africa Orientale (Coleoptera Staphylinidae) (LXXVI Contributo alla conoscenza delle Aleocharinae). Annales historico-naturales Musei nationalis hungarici 78: 83–143, 239 figs. Full article (PDF) Reference page. [material, distribution: p. 88]
- Pace, R. 1996. Aleocharinae della Sottoregione Africana Orientale al Museo di Ginevra (Coleoptera, Staphylinidae) Parte III (conclusione). (127° Contributo alla conoscenza delle Aleocharinae.) [Aleocharinae from Eastern African Region in the Geneva Museum (Coleoptera, Staphylinidae). Part III (conclusion).] Revue suisse de zoologie 103(1): 195–258, 219 figs.BHL Reference page. [records, distribution: p. 256]
- Pace, R. 1998. Aleocharinae della Cina: Parte I (Coleoptera, Staphylinidae). (139° Contributo alla conoscenza delle Aleocharinae.) [Aleocharinae from China: Part I (Coleoptera, Staphylinidae).] Revue suisse de zoologie 105(1): 139–220, 234 figs. BHL Reference page. [material, distribution: p. 155]
- Pace, R. 2008. Le specie di Thamiaraeini, Oxypodini, Hoplandriini e Aleocharini del Borneo (Coleoptera, Staphylinidae). (213° Contributo alla conoscenza delle Aleocharinae.) [The species of Thamiaraeini, Oxypodini, Hoplandriini and Aleocharini from Borneo (Coleoptera, Staphylinidae).] Revue suisse de zoologie 115(1): 157–183. BHL Reference page. [material, distribution: p. 180]
- Pace, R. 2012. New data, new species, and two new genera of Aleocharinae from the Oriental Region (Insecta: Coleoptera: Staphylinidae). (271th Contribution to the knowledge of Aleocharinae). Veröffentlichungen des Naturkundemuseums Erfurt - VERNATE 31: 319–360.Reference page. [records, distribution: p. 344]
- Pace, R. 2012. New data, new species, two new genera of Aleocharinae from Tropical Africa (Insecta: Coleoptera: Staphylinidae). (273th Contribution to the knowledge of Aleocharinae). Veröffentlichungen des Naturkundemuseums Erfurt - VERNATE 31: 361–377.Reference page. [records, distribution: p. 370]
- Pace, R. 2010. Thamiaraeini, Lomechusini, Oxypodini, Hoplandriini e Aleocharini di Taiwan (Coleoptera, Staphylinidae). Bollettino del Museo Civico di Storia Naturale di Verona botanica zoologia 34: 19–54. Full article (PDF) Reference page. [material, distribution: p. 52]
- Pace, R. 2015. Contributo alla conoscenza della biodiversità delle Aleocharinae del Nepal (Insecta: Coleoptera: Staphylinidae). (297° Contributo alla conoscenza delle Aleocharinae). [Contribution to the knowledge of the biodiversity of the Aleocharinae from Nepal (Insecta: Coleoptera: Staphylinidae).] Veröffentlichungen des Naturkundemuseums Erfurt - VERNATE 34: 199–227. Reference page. [records, distribution: p. 217]
- Pace, R. 2016 [2015]. Introduction to the knowledge of the subfamily Aleocharinae from the Australian region (part II) (Coleoptera: Staphylinidae). (296th contribution to the knowledge of Aleocharinae). Folia entomologica hungarica 76: 15–88. Reference page. [records, distribution: p. 75]
- Park, J.-S.; Ahn, K.-J. 2010: Korean species of Aleochara Gravenhorst subgenus Xenochara Mulsant & Rey (Coleoptera, Staphylinidae, Aleocharinae). ZooKeys 60: 21–36. DOI: 10.3897/zookeys.60.404 Reference page.