.png.webp)
Taxonavigation
| Taxonavigation: Staphylinoidea |
|---|
|
Superregnum: Eukaryota |
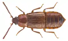
Familia: Staphylinidae
Subfamilia: Omaliinae
Tribus: Anthophagini
Genus: Acidota
Species: Acidota cruentata
Name
Acidota cruentata Mannerheim, 1830: 55
Synonymy
- Acidota caucasica Reitter, 1909: 185
- Acidota clandestina Luze, 1905: 75
- Acidota ferruginea Lacordaire, 1835: 477
- Acidota minuta Luze, 1905: 76
- Acidota sculpturata Luze, 1905: 77
Native distribution areas
Europe, Russia (European, Siberia, Far East), Georgia, Turkey, Algeria.
References
Primary references
- Mannerheim, C.G. von, 1830. Précis d'un nouvel arrangement de la famille des brachélytres de l'ordre des insectes coléopteres. St. Petersburg, Russia, privately published, 87 pp. [original description: p. 55]
Additional references
- Assing, V. 2013. On the Staphylinidae (Coleoptera) of Turkey IX. Five new species, a new synonymy, and additional records. Stuttgarter Beiträge zur Naturkunde (A) 6: 103–125. PDF
Reference page. [remarks: p. 109] - Assing, V. 2015. On the Staphylinidae of the Greek island Chios (Insecta: Coleoptera). Linzer biologische Beiträge 47(1): 43–55. Full article (pdf) Reference page. [comment: p. 48]
- Assing, V. 2016. On the Staphylinidae of the Greek island Karpathos (Insecta: Coleoptera). Linzer biologische Beiträge 48(1): 235–263. Full article (PDF) Reference page. [comment: p. 244]
- Janovska, M., Shavrin, A.V. & Enushchenko, I.V. 2019. Faunistic records of Staphylinidae Latreille, 1802 (Coleoptera) from Latvia. Acta Biologica Universitatis Daugavpiliensis 19(1): 99–105. PDF
Reference page. [material (Latvia): p. 100]