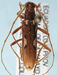
| Beraba iuba | |
|---|---|
![]() | |
| Scientific classification | |
| Kingdom: | |
| Phylum: | |
| Class: | |
| Order: | |
| Suborder: | |
| Family: | |
| Genus: | |
| Species: | B. iuba |
| Binomial name | |
| Beraba iuba | |
Beraba iuba is a species of beetle in the family Cerambycidae.[1]
References
- ↑ Bezark, Larry G. A Photographic Catalog of the Cerambycidae of the World Archived 2013-08-27 at the Wayback Machine. Retrieved on 22 May 2012.
This article is issued from Wikipedia. The text is licensed under Creative Commons - Attribution - Sharealike. Additional terms may apply for the media files.
_Figures_1%E2%80%937_(cropped).jpg.webp)